Skip To Content

827 Debary Avenue

Deltona, FL 32725
  • $695,000
  • STATUS: Active
  • ON SITE: 3104 Days
  • MLS #: V4720256
$695,000
  • 0
    BEDS
  • 0.21
    ACRES
  • 0
    BATHS
  • 0
    1/2 BATHS
Neighborhood:
Type:
Vacant Land / Lots
County:

School Ratings & Info

Description

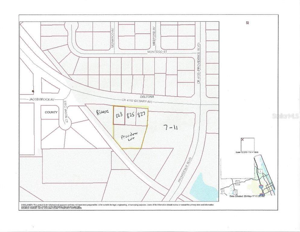
MULTI PARCEL SALE INCLUDING VACANT LAND: 825 DEBARY AVE. PARCEL ID 30-18-31-52-04-0030; 823 DEBARY AVE. PARCEL ID 30-18-31-52-04-0020; PROVIDENCE BLVD. PARCEL ID 30-18-31-52-00-0040

Monthly Payment Calculator




© 2026 My Florida Regional MLS DBA Stellar MLS. All rights reserved. All listings displayed pursuant to IDX. All listing information is deemed reliable but not guaranteed and should be independently verified through personal inspection by appropriate professionals. Listings displayed on this website may be subject to prior sale or removal from sale; availability of any listing should always be independently verified. Listing information is provided for consumers personal, non-commercial use, solely to identify potential properties for potential purchase; all other use is strictly prohibited and may violate relevant federal and state law. Data last updated 2026-02-15T23:43:10.803.
www.sarasotagulfcoastrealtors.com/homes/75996776
Print Image

827 Debary Avenue Deltona, FL 32725

  • Price: $695,000
  • Status: Active
  • On Site: 3104 Days
  • MLS #: V4720256
0
Beds
0
Baths
0
½ Baths
0.21
Acres
Neighborhood:
Deltona Lakes Unit 52
County:
Volusia
Area:
Deltona / Enterprise
Property Description
MULTI PARCEL SALE INCLUDING VACANT LAND: 825 DEBARY AVE. PARCEL ID 30-18-31-52-04-0030; 823 DEBARY AVE. PARCEL ID 30-18-31-52-04-0020; PROVIDENCE BLVD. PARCEL ID 30-18-31-52-00-0040
Exterior Features

Current Adjacent Use CommercialProfessional Office Lot Features City LotNear Public TransitWooded Lot Size Dimensions 80 x 112 Road Frontage Type City Street Water Access Yn No Water Extras Yn No Water View Yn No Waterfront Feet Total 0 Waterfront Yn No

Property Features

Association Fee Requirement None Association Yn No Current Use Commercial Flood Zone Code X For Lease Yn No Listing Terms CashConventionalOther Ownership Fee Simple Special Listing Conditions None Tax Annual Amount 285.94 Utilities BB/HS Internet AvailableCable Available Zoning 01R


Listing information © 2026 My Florida Regional MLS DBA Stellar MLS..
Listing provided courtesy of REALTY VESTORS INC: 386-479-7897.



© 2026 My Florida Regional MLS DBA Stellar MLS. All rights reserved. All listings displayed pursuant to IDX. All listing information is deemed reliable but not guaranteed and should be independently verified through personal inspection by appropriate professionals. Listings displayed on this website may be subject to prior sale or removal from sale; availability of any listing should always be independently verified. Listing information is provided for consumers personal, non-commercial use, solely to identify potential properties for potential purchase; all other use is strictly prohibited and may violate relevant federal and state law. Data last updated 2026-02-15T23:43:10.803.
 
https://bt-photos.global.ssl.fastly.net/mfr/orig_boomver_3_V4720256-2.jpg https://bt-photos.global.ssl.fastly.net/mfr/orig_boomver_3_V4720256-2.jpg https://bt-photos.global.ssl.fastly.net/mfr/orig_boomver_3_V4720256-2.jpg
Logo
Sarasota Gulf Coast Homes | Keller Williams Realty On The Water Sarasota
1549 Ringling Blvd #600
Sarasota FL, 34236